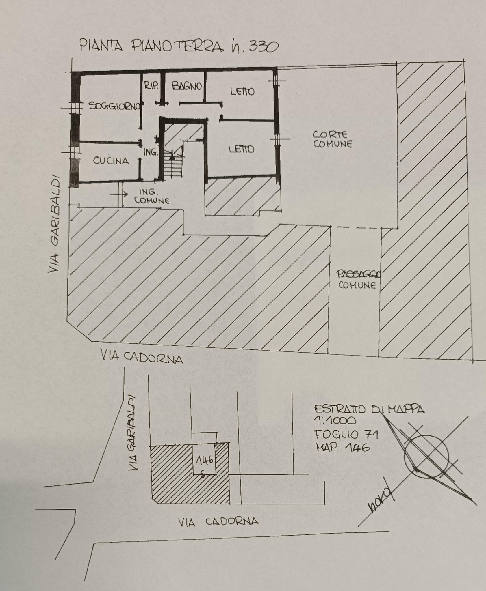
Descrizione
In zona tranquilla e ben servita di Bagnacavallo, proponiamo in vendita un ampio appartamento al piano terra, ideale per famiglie o per chi cerca comfort e funzionalità.
📐 Caratteristiche principali:
- Superficie commerciale: 94 mq + cantina di 5 mq
- Ingresso, corridoio, cucina abitabile, sala luminosa
- Due camere matrimoniali, ripostiglio (con predisposizione per lavatrice e caldaia)
- Cantina privata
🏗️ Dettagli costruttivi:
- Costruzione: 1980
- Ristrutturazione: 2012 (bagni e pavimenti)
- Impianti autonomi
- Infissi in legno con doppi vetri, scuroni esterni e inferriate per maggiore sicurezza
- Pavimenti in monocottura (zona giorno), gres (zona notte), ceramica (bagno)
💰 Spese e classe energetica:
- Spese condominiali contenute: 30 €/mese
- Classe energetica: G
- Prezzo richiesto: € 127.000
📍 Soluzione comoda e funzionale, pronta per essere abitata. Contattaci per maggiori informazioni o per fissare una visita!
